• (21) 2508-7007
  • Login
  • Cadastre-se
  • Sobre
  • Leilões
  • Artes & Antiguidades
  • Leilão CAIXA
  • Editais
  • Regulamento
  • Atendimento
  • Imóveis
  • Veículos
  • Diversos

RUA ISAIAS MOREIRA DE OLIVEIRA

R$ 311.344,00
* Imagens ilustrativas, podendo não corresponder exatamente ao lote que está sendo leiloado.

1º Leilão

  • Tipo:Online
  • Abertura:23/02/2026 11:00
  • Encerramento:02/03/2026 11:00:00
Aguardando Abertura
  • Histórico de Lances
Online
Presencial
Lance Vencedor
Maior Lance
Lance Coberto
Usuário Valor Condição de Pag. Data Hora
  • Descrição do Lote
  • Edital Completo

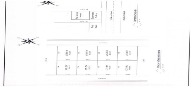
Lote de terreno n° 5-A3 (cinco-a-três), resultante do desmembramento do Lote n° 5-A, oriundo do remembramento dos lotes n° 05, 06 e 07, da Quadra n° 01 (um), do loteamento denominado Jardim Campomar, situado no município de Rio das Ostras/RJ, que assim se descreve e caracteriza: mede 15,00m de frente para Rua 01; 15,00m de fundos para o Lote n° 5-A4; 27,00m da lado esquerdo para o Lote n° 5-A5; e, 27,00m do lado direito para o Lote n° 5-A1, perfazendo uma área de 405,00m². Inscrito na municipalidade sob o n° 01.6.123.0527.001 (onde consta que possui 405,00m² de área do terreno). Matriculado sob o n° 31.813 do Cartório do Ofício Único de Rio das Ostras/RJ. Descrição conforme auto de penhora: O terreno do imóvel penhorado integra parte do terreno ocupado pelo supermercado Rede Economia, tudo conforme o relatado em certidão de Id 550a3b2. Em que pese integrar parte do terreno ocupado por um único supermercado, realizei a avaliação do imóvel sob a perspectiva de um terreno independente e desocupado, já que a ordem do Juízo foi no sentido de dar prosseguimento à penhora. Avaliado em R$ 311.344,00 (trezentos e onze mil, trezentos e quarenta e quatro reais), após pesquisa comparativa de preços de imóveis no mercado imobiliário de Rio das Ostras, conforme auto de penhora e avaliação Id 1763a4e. Fotos nos Ids 550a3b2 e b98ad3a. Planta/Croqui no Id 4c39c65. Endereço atualizado: RUA ISAIAS MOREIRA DE OLIVEIRA S/N (QUADRA 01, LOTE 5-A3), JARDIM CAMPOMAR, RIO DAS OSTRAS/RJ. Cientes da informação do Sr. Oficial de Justiça no Id b98ad3a: O imóvel está ocupado pelo mercado Rede Economia. Cientes das informações do Sr. Oficial de Justiça no Id 550a3b2: Verifiquei que o imóvel a ser penhorado integra parte do terreno ocupado pelo supermercado Rede Economia. Diligenciando no supermercado, o gerente disse não saber informar se a Rede Economia é proprietária de todo o terreno que ocupa ou se opera no local por meio de contrato de locação. Cientes sobre eventuais penhoras e indisponibilidades existentes, nos termos do Artigo 886 VI do CPC, devendo o(s) interessado(s), observar(em) e examinar(em) os Autos do Processo, e a Certidão de Ônus Reais do(s) Imóvel(eis) penhorado(s). Os Leilões Públicos serão realizados na forma do Artigo 122 da Consolidação dos Provimentos da Corregedoria Geral da Justiça do Trabalho (isenção do Arrematante em relação à débitos anteriores à Arrematação), que determina a observância do parágrafo único do artigo 130 do CTN e do § 1º do Artigo 908 do CPC, por ser a arrematação em Hasta Pública modalidade de Aquisição Originária, não se imputando ao eventual Arrematante responsabilidade por débitos anteriores à arrematação. Eventuais arrolamentos; débitos de IPTU e Condomínio; hipotecas; penhoras; dívidas propter rem; cartorárias, IPVA, e indisponibilidades se sub-rogarão no preço alcançado na Hasta Pública (art. 908, § 1º do CPC), e os créditos Trabalhistas terão prioridade sobre qualquer outro, na forma do artigo 186 do CTN. Não sendo possível pagar todos os débitos sub-rogados no valor auferido na Hasta Pública, devem os credores que não tiveram sua dívida adimplida encontrar outro bem do devedor para satisfazer seu(s) crédito(s). O Juízo da Execução poderá determinar a baixa de todas as penhoras e indisponibilidades que recaem sobre o imóvel, na forma do artigo 320-G do provimento 149/2023 do CNJ (redação dada pelo provimento 188/2024).

Imprimir

001/VT DE CABO FRIO – RJ EDITAL DE 1º e 2º Leilões e Intimação, com prazo de 20 (vinte) dias, extraídos dos autos da Ação Trabalhista que RECLAMANTE: NELSON LIMA DA SILVA (ADVOGADO: CAIO MEDEIROS MARINS; ADVOGADO: RENATA DE BRITTO BARBOZA; ADVOGADO: BENIZETE RAMOS DE MEDEIROS; ADVOGADO: DANIELLE MEDEIROS BRANCO) move a RECLAMADO: M J COMERCIO DE GENEROS ALIMENTICIOS LTDA (ADVOGADO: FÁBIO PICANÇO DE SEIXAS LOUREIRO; ADVOGADO: CARLOS EDUARDO FARIA GASPAR; ADVOGADO: CLAUDIO SIMOES MOTA JUNIOR); RECLAMADO: SO OFERTAS COMERCIO DE GENEROS ALIMENTICIOS LTDA (ADVOGADO: FÁBIO PICANÇO DE SEIXAS LOUREIRO; ADVOGADO: CARLOS EDUARDO FARIA GASPAR; ADVOGADO: CLAUDIO SIMOES MOTA JUNIOR); RECLAMADO: M J M COMERCIO DE GENEROS ALIMENTICIOS LTDA (ADVOGADO: FÁBIO PICANÇO DE SEIXAS LOUREIRO; ADVOGADO: CARLOS EDUARDO FARIA GASPAR; ADVOGADO: CLAUDIO SIMOES MOTA JUNIOR); RECLAMADO: MIGUEL ALVES JEOVANI (ADVOGADO: FÁBIO PICANÇO DE SEIXAS LOUREIRO; ADVOGADO: CARLOS EDUARDO FARIA GASPAR; ADVOGADO: CLAUDIO SIMOES MOTA JUNIOR); RECLAMADO: MARCIA CRISTINA ARAUJO JEOVANI (ADVOGADO: FÁBIO PICANÇO DE SEIXAS LOUREIRO; ADVOGADO: CARLOS EDUARDO FARIA GASPAR; ADVOGADO: CLAUDIO SIMOES MOTA JUNIOR); TERCEIRO INTERESSADO: MUNICIPIO DE RIO DAS OSTRAS; TERCEIRO INTERESSADO (OCUPANTE): SUPERMERCADO REDE ECONOMIA, Proc. ATOrd 0012289-53.2015.5.01.0432, na forma abaixo. O DOUTOR ERICO SANTOS DA GAMA E SOUZA, MM. Juiz titular da 1ª Vara do Trabalho de Cabo Frio/RJ, FAZ SABER, aos que o presente Edital de Leilão e Intimação, virem ou dele tomarem conhecimento, especialmente ao devedor, na pessoa de seu representante legal, que serão levados à leilão os bens penhorados nestes Autos, da seguinte forma: O Primeiro Leilão, pelo valor da avaliação, ou acima, será realizado na modalidade EXCLUSIVAMENTE ELETRÔNICA, das 11:00 horas do dia 23.02.2026 às 11:00 horas do dia 02.03.2026. Não havendo arrematação, fica desde logo designado para o Segundo Leilão, na modalidade EXCLUSIVAMENTE ELETRÔNICA, das 11:30 horas do dia 02.03.2026 às 11:00 horas do dia 03.03.2026, com valor mínimo de lance correspondente 50% (cinquenta por cento) para os bens imóveis e automóveis, nos termos do artigo 888 da CLT e Artigo 891 do CPC, ou outro eventual lance, que será objeto de análise pelo Juízo da Execução. Os leilões eletrônicos serão realizados de forma ininterrupta, e os lances digitais no caso de Leilão Eletrônico podem ser efetuados na página www.paulobotelholeiloeiro.com.br, onde deve o interessado se cadastrar com uma antecedência de 24 horas antes da realização da Hasta Pública. Os Leilões Públicos serão conduzidos pelo Leiloeiro Público Oficial PAULO AUGUSTO DE MARIA BOTELHO, Matriculado na Junta Comercial do Estado do Rio de Janeiro sob o número 190, com endereço físico na Av. Rio Branco, número 151, sala 502, Centro, Rio de Janeiro/RJ, CEP 20.040-006. Bem(ns) a ser(em) leiloado(s), conforme Auto de Penhora e Avaliação, designado(s) como: IMÓVEL: Lote de terreno n° 5-A3 (cinco-a-três), resultante do desmembramento do Lote n° 5-A, oriundo do remembramento dos lotes n° 05, 06 e 07, da Quadra n° 01 (um), do loteamento denominado Jardim Campomar, situado no município de Rio das Ostras/RJ, que assim se descreve e caracteriza: mede 15,00m de frente para Rua 01; 15,00m de fundos para o Lote n° 5-A4; 27,00m da lado esquerdo para o Lote n° 5-A5; e, 27,00m do lado direito para o Lote n° 5-A1, perfazendo uma área de 405,00m². Inscrito na municipalidade sob o n° 01.6.123.0527.001 (onde consta que possui 405,00m² de área do terreno). Matriculado sob o n° 31.813 do Cartório do Ofício Único de Rio das Ostras/RJ. Descrição conforme auto de penhora: O terreno do imóvel penhorado integra parte do terreno ocupado pelo supermercado Rede Economia, tudo conforme o relatado em certidão de Id 550a3b2. Em que pese integrar parte do terreno ocupado por um único supermercado, realizei a avaliação do imóvel sob a perspectiva de um terreno independente e desocupado, já que a ordem do Juízo foi no sentido de dar prosseguimento à penhora. Avaliado em R$ 311.344,00 (trezentos e onze mil, trezentos e quarenta e quatro reais), após pesquisa comparativa de preços de imóveis no mercado imobiliário de Rio das Ostras, conforme auto de penhora e avaliação Id 1763a4e. Fotos nos Ids 550a3b2 e b98ad3a. Planta/Croqui no Id 4c39c65. Endereço atualizado: RUA ISAIAS MOREIRA DE OLIVEIRA S/N (QUADRA 01, LOTE 5-A3), JARDIM CAMPOMAR, RIO DAS OSTRAS/RJ. Cientes da informação do Sr. Oficial de Justiça no Id b98ad3a: O imóvel está ocupado pelo mercado Rede Economia. Cientes das informações do Sr. Oficial de Justiça no Id 550a3b2: Verifiquei que o imóvel a ser penhorado integra parte do terreno ocupado pelo supermercado Rede Economia. Diligenciando no supermercado, o gerente disse não saber informar se a Rede Economia é proprietária de todo o terreno que ocupa ou se opera no local por meio de contrato de locação. Cientes sobre eventuais penhoras e indisponibilidades existentes, nos termos do Artigo 886 VI do CPC, devendo o(s) interessado(s), observar(em) e examinar(em) os Autos do Processo, e a Certidão de Ônus Reais do(s) Imóvel(eis) penhorado(s). Os Leilões Públicos serão realizados na forma do Artigo 122 da Consolidação dos Provimentos da Corregedoria Geral da Justiça do Trabalho (isenção do Arrematante em relação à débitos anteriores à Arrematação), que determina a observância do parágrafo único do artigo 130 do CTN e do § 1º do Artigo 908 do CPC, por ser a arrematação em Hasta Pública modalidade de Aquisição Originária, não se imputando ao eventual Arrematante responsabilidade por débitos anteriores à arrematação. Eventuais arrolamentos; débitos de IPTU e Condomínio; hipotecas; penhoras; dívidas propter rem; cartorárias, IPVA, e indisponibilidades se sub-rogarão no preço alcançado na Hasta Pública (art. 908, § 1º do CPC), e os créditos Trabalhistas terão prioridade sobre qualquer outro, na forma do artigo 186 do CTN. Não sendo possível pagar todos os débitos sub-rogados no valor auferido na Hasta Pública, devem os credores que não tiveram sua dívida adimplida encontrar outro bem do devedor para satisfazer seu(s) crédito(s). O Juízo da Execução poderá determinar a baixa de todas as penhoras e indisponibilidades que recaem sobre o imóvel, na forma do artigo 320-G do provimento 149/2023 do CNJ (redação dada pelo provimento 188/2024). Encerrados os Leilões Públicos Eletrônicos sem licitantes, a requerimento de qualquer interessado, poderá ser lavrado Auto de Venda Direta do bem penhorado, na forma dos artigos 880 e seguintes do CPC, que será levado ao crivo do Juízo da Execução, podendo este chancelar ou não a venda direta. Serão analisadas pelo Juízo as propostas de lance parcelado, desde que observado o número máximo de 20 (vinte) parcelas para os bens Imóveis, com correção, e 05 (cinco) parcelas para bens móveis, com correção, na forma dos Artigos 895 e seguintes do CPC c/c resolução 203 do TST, podendo o interessado peticionar nos Autos antes dos Leilões Públicos, ou escolher a opção de parcelamento diretamente na plataforma do Leiloeiro. Será responsabilidade do optante pelo parcelamento gerar as guias de depósito Judicial, e comprovar os pagamentos nos Autos. Os bens serão vendidos no estado em que se encontram, podendo haver a exclusão de bens do leilão a qualquer tempo e independentemente de prévia comunicação, observando-se as regras do CPC, bem como da Resolução 236/2016 do CNJ. Arrematação: à vista, ou parcelada, acrescida de 5% de comissão do Leiloeiro (Parágrafo Único do Artigo 24 do Dec. Lei 21.981/32 c/c Artigo 7º da resolução 236 do CNJ), e custas de cartório até o limite máximo permitido por lei. Não pago o lance pelo vencedor, nos termos do artigo 26 da resolução 236 do CNJ, serão considerados pelo Juízo os lanços eletrônicos imediatamente anteriores. Arrematação Judicial por conta e risco do arrematante, que deve examinar os Autos do Processo antes de efetuar lanços. Manifestando o arrematante arrependimento ou desistência pelo lote arrematado, poderá este ter o seu cadastro bloqueado, ou mesmo suspenso, sem prejuízo dos honorários devidos, pelo que desde já autoriza o Leiloeiro a emitir boleto de cobrança, sujeito à protesto ou execução em caso de não pagamento. Sendo o Leilão cancelado por decisão Judicial, os honorários do Leiloeiro serão devolvidos ao arrematante de forma simples, sem juros, na forma do artigo 7º, parágrafo 1º da resolução 236/2016 do CNJ. Em caso de pagamento da dívida ou acordo com a parte credora, fica o(a) Executado(a) ciente que será aplicada a resolução 236/16 do CNJ. Em caso de Adjudicação, os honorários correm por conta do Adjudicante. Ciente a Executada que o prazo para embargos corre na forma do Artigo 903 § 2º do CPC. E, para que chegue ao conhecimento de todos, foi expedido o presente Edital, que será publicado e afixado no local de costume, bem como publicado na página do Sr. Leiloeiro, para todos os efeitos legais, conforme parágrafo 2º do artigo 887 do CPC. Fica(m) o(s) Executado(s) e o(s) Interessado(s) Intimado(s) dos Leilões Públicos, através do presente Edital, caso não encontrado(s) pelo Sr. Oficial de Justiça ou caso não receba(m) a Notificação Postal, na forma determinada pelo parágrafo único do art. 889 do Código de Processo Civil. ELIANA GONÇALVES LEMOS EGGER, Diretora de Secretaria, mandei digitar e subscrevo. ERICO SANTOS DA GAMA E SOUZA, MM. Juiz titular da 1ª Vara do Trabalho de Cabo Frio/RJ.

Detalhes

  • Documentação:
    Baixar
  • Nº Lote:0012289-53.2015.5.01.0432
  • SituaçãoAberto
  • Avaliado Em:R$ 311.344,00
  • Lance Inicial:R$ 311.344,00
  • Lance Inicial para Segundo Leilão:R$ 155.672,00
  • Incremento mínimo:R$ 5.000,00
  • Primeiro Leilão23/02/2026 Até 02/03/2026
  • Segundo Leilão02/03/2026 Até 03/03/2026
  • Processo:0012289-53.2015.5.01.0432
  • Vara:01ª VARA DO TRABALHO DE CABO FRIO
  • Leiloeiro:PAULO AUGUSTO DE MARIA BOTELHO
  • Autor:NELSON LIMA DA SILVA (ADVOGADO: CAIO MEDEIROS MARINS; ADVOGADO: RENATA DE BRITTO BARBOZA; ADVOGADO: BENIZETE RAMOS DE MEDEIROS; ADVOGADO: DANIELLE MEDEIROS BRANCO)
  • Réu:M J COMERCIO DE GENEROS ALIMENTICIOS LTDA (ADVOGADO: FÁBIO PICANÇO DE SEIXAS LOUREIRO; ADVOGADO: CARLOS EDUARDO FARIA GASPAR; ADVOGADO: CLAUDIO SIMOES MOTA JUNIOR) e outro(s)

Outros Lotes

Veja outros lotes deste Leilão
R$ 18.000.000,00

ÁREA DE 9.000,00M² NA EST. DE RODAGEM CARAGUATATUBA-UBATUBA

Gleba de terras situada na Est ...
01ª VARA DO TRABALHO DE CABO FRIO
0140000-16.1993.5.01.0431

  • 23/02/2026
  • 11:00
  • Edital
R$ 164.000,00

LOTEAMENTO VILLAGGIO VALTELLINA, LOTE 14, QUADRA 09, PERNAMBUCA, ARRAIAL DO CABO/RJ.

Domínio útil de uma área de ...
02ª VARA DO TRABALHO DE CABO FRIO
0106900-76.2007.5.01.0432

  • 23/02/2026
  • 11:00
  • Edital
R$ 130.000,00

AVENIDA PRESIDENTE VARGAS, 590, Sl. 2209, CONDOMINIO EDIFICIO LISBOA, CENTRO, RIO DE JANEIRO/RJ

Sala 2209 do Edifício situado ...
05ª VARA DO TRABALHO DE DUQUE DE CAXIAS
0012616-68.2013.5.01.0205

  • 23/02/2026
  • 11:00
  • Edital
R$ 550.000,00

RUA CONDEÚBA 285, LOTE 11, QUADRA 74, JARDIM GRAMACHO, DUQUE DE CAXIAS/RJ

Prédio industrial nº 285, da ...
07ª VARA DO TRABALHO DE DUQUE DE CAXIAS
0001838-38.2010.5.01.0207

  • 23/02/2026
  • 11:00
  • Edital

Informações sobre leilões?

Inscreva-se

Conhecido no mercado pelo seu slogan "Paulo Botelho, o Leiloeiro mais pontual",
no mercado há mais de vinte anos como Leiloeiro Público e Leiloeiro Rural.

  • Avenida Rio Branco, 151 grupo 502 Centro – Rio de Janeiro – RJ
  • (21) 2508-7007 | (21) 2509-2147
  • (21) 98562-9550
  • paulobotelholeiloeiro@gmail.com
  • pauloaugustobotelholeiloeiro@gmail.com

Acesso rápido

  • Sobre nós
  • Cadastre-se
  • Lotes
  • Atendimento
  • Regulamento
Selo TJRJ CAIXA ECONÔMICA FEDERAL

Copyrights 2025 Paulo Botelho Leiloeiro. Desenvolvido por @lstonon

  • Sobre
  • Regulamento
  • Lotes
  • Atendimento
  • Sobre
  • Leilões
  • Imóveis
  • Veículos
  • Diversos
  • Todos os Lotes
  • Artes & Antiguidades
  • Leilão CAIXA
  • Editais
  • Regulamento
  • Atendimento
  • Login
  • Cadastre-se